成人av

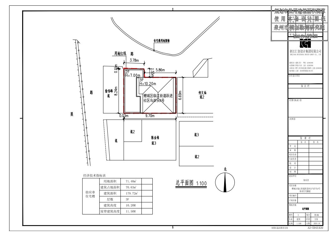
[规划许可]鲤城区临江街道跃进社区乌岸头8号私有住房翻建项目《建设工程规划许可证》批前公示
时间:2025-01-22 17:09 浏览量:1